A hurricane warning remains in force for the Eastern half of Vanua Levu, Cikobia, Taveuni, Rabi, Kioa, Yacata, Koro, Vanua Balavu, Gau, Batiki, Nairai, Wakaya, Makogai, Cicia, Lakeba, Kabara, Moala and nearby smaller islands.
A storm warning is in force for the rest of Vanua Levu, Ovalau, Matuku, Totoya and nearby smaller islands.
A gale warning remains in force for the rest of the Fiji group.
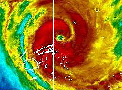
Severe Tropical Cyclone Tomas centre Category 4 was located near 15 decimal 3 South 179 decimal 4 West or about 185 kilometres North North East of Taveuni or 390 kilometres North East of Suva at 10am today. Close to its centre, Tomas is estimated to have average winds of 175 kilometres per hour increasing to 205 kilometres per hour in the next 18 to 24 hours with momentary gusts up to 270 kilometres per hour. The hurricane is intensifying and moving South at 9 kilometres per hour.
On this track, the cyclone centre is expected to be located about 65 kilometres North East of Taveuni or 290 kilometres North East of Suva at 10 o=clock tonight and about 100 kilometres South South East of Taveuni or 215 kilometres East North East of Suva at 10 o=clock tomorrow morning.
The next Special Weather Bulletin will be issued at 3pm today or earlier.
More opt to move to evac centres...
More people are now opting to move to evacuation centers in the northern division as Hurricane Tomas approaches.
Acting Director DISMAC Pajiliai Dobui said around 5,000 people are taking shelter at the evacuation centers.
Dobui said Hurricane Tomas is one of the strongest systems to enter the Fiji group.
DISMAC is also concerned that all communications have been lost with Cikobia and smaller islands in the Southern Lau group.
Dobui said all they can do is wait and pray that the villagers are safe.
Residents in north now without power...
Residents in the Northern Division are now without electricity as FEA has switched off power as a precautionary measure.
This is the confirmation from Commissioner Northern Colonel Inia Seruiratu.
Colonel Seruiratu added that people in the North should listen carefully to the weather updates and only move when it is safe.
Please do not be complacent as Hurricane Tomas is very slow moving.
Curfew to be imposed from 8pm-7am...
Curfew will be imposed for the central and eastern division from 8pm to 7am tomorrow morning.
Permanent Secretary for Information Lt. Colonel Neumi Leweni confirmed in the last hour that the curfew for the Northern division remains in place and there will be no curfew imposed on the western division.
Leweni said only those in essential services will be issued passes to move around during the curfew period.
Meanwhile, the Korotari River is now rising.
A resident Ranjeet Kumar said the situation has worsened since last night as they are experiencing strong winds now.
He also said people have started moving to higher ground.
Communication to Cikobia disrupted...
Telecom Fiji Limited has revealed that they have received confirmation that telecommunications to Cikobia via satellite services have been disrupted as a direct result of Hurricane Tomas.
Public relations Officer, Vanessa Kilner said that they have are trying their best taking into account the current situation, their engineers are trying to ascertain the extent of damages to these sites and will begin restoration as soon as weather permits.
There is a communication black out for most parts of the outer islands.
Fijivillage can confirm that DISMAC has been trying their best to get hold of their people on the island of Cikobia to ascertain the extent of damages so far.
We have also received word that in Wainika, the village has been flooded however no contact can be established.
More from this day
Stories published on 15/03/2010
-
Strong winds still being felt15/03/2010 23:07 -
Arrangements made for stranded tourists15/03/2010 22:57 -
Nearly 6000 people in evacuation centres15/03/2010 22:55 -
Hurricane Tomas nears Udu Point15/03/2010 22:14 -
Hurricane Tomas nears Udu Point15/03/2010 22:10 -
All forms of communications cut off for Vanua Levu15/03/2010 21:58 -
North feels full brunt of Tomas15/03/2010 20:09 -
North feels full brunt of Tomas15/03/2010 20:08 -
North feeling direct effects of Tomas15/03/2010 18:02 -
North feeling direct effects of Hurricane Tomas15/03/2010 18:01
Search this day in the archive